Space for Cycling Brisbane

Making a better Brisbane for everyone

Menu Skip to content
  • Home
  • About Us
    • Brisbane Bicycle Film Night
    • Brisbane Bike Bites – Short Film Competition. Sponsored by Epic Cycles
    • Contact Us
  • Policies
    • Safer routes to schools
    • Local streets not through streets
    • Protected space on main roads
    • A connected and direct network
    • 30km/h for neighbourhood streets
    • Bicycle friendly suburban centres
  • Campaigns
    • Write to your Councillor
    • Attending Council Committee Meetings
    • Attending Council Meetings
    • CBD Protected Bike Grid
    • 2016 Federal Government Elections
    • 2016 Brisbane City Council Local Government Elections
    • 2017 Queensland Government Election
  • Resources
    • Whose road is that?
    • Correspondence
    • Videos
    • Commuter route reviews
    • Principal Cycle Network Plan
  • Weekly Digests
  • Facebook
  • Instagram
  • YouTube
December 30, 2018December 30, 2018eastbug

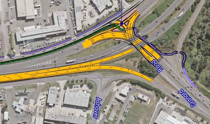
GranardRd

« Previous Image
Next Image »

Post navigation

Published inSalisbury Bikeway along Riawena Rd

Follow us for the latest news

Follow us for the latest news
Blog at WordPress.com.
  • Subscribe Subscribed
    • Space for Cycling Brisbane
    • Join 42 other subscribers
    • Already have a WordPress.com account? Log in now.
    • Space for Cycling Brisbane
    • Subscribe Subscribed
    • Sign up
    • Log in
    • Copy shortlink
    • Report this content
    • View post in Reader
    • Manage subscriptions
    • Collapse this bar